ARM | RUS |

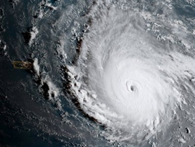
«Նեյթ» արեւադարձային մրրիկը կարող է փոթորկի վերածվել

07.10.17 | 09:09

Կենտրոնական Ամերիկայում 20 մարդու կյանք խլած «Նեյթ» մրրիկը կարող է փոթորկի ուժգնության հասնել եւ շաբաթ առավոտյան ԱՄՆ ափերին մոտենալ, հաղորդում է ՌԻԱ Նովոստին՝ վկայակոչելով ԱՄՆ Փոթորիկների ազգային կենտրոնին:

«Նեյթը» ուժեղանում է Կարիբյան շովի հյուսիսարեւմտյան մասում...Փոթորկի եւ մրրիկի մասին նախազգուշացումն արդեն հայտարարվել է»,- ասվում է կենտրոնի հաղորդագրության մեջ:

Մասնագետների հաշվարկով՝ «Նեյթն» ԱՄՆ ափերին կմոտենա Լուիզինա եւ Ֆլորիդա շրջաններում տեղական ժամանակով 19:00-ին:


18-ամյա Դավիթ Մինասյանը կալանավորվեց 2 ամսով

18-ամյա Դավիթ Մինասյանը կալանավորվեց 2 ամսով

13:15

Փաշինյանական իշխանությունը երկրի ներսում ինքնահաստատման փորձեր է անում, իսկ Ադրբեջանը շարունակում է ակտիվ հակահայ քաղաքականությունը. Տիգրան Աբրահամյան

Փաշինյանական իշխանությունը երկրի ներսում ինքնահաստատման փորձեր է անում, իսկ Ադրբեջանը շարունակում...

13:06

Նոր հաշվարկային կարգով էլեկտրամոբիլների գույքահարկը էականորեն նվազում է

Նոր հաշվարկային կարգով էլեկտրամոբիլների գույքահարկը էականորեն նվազում...

12:18

Ամուսինը պարբերաբար ծեծել է կնոջը՝ հասցնելով ինքնասպանության

Ամուսինը պարբերաբար ծեծել է կնոջը՝ հասցնելով...

11:08

Ադրբեջանի տարածքով հինգ վագոն հացահատիկ կուղարկվի Հայաստան

Ադրբեջանի տարածքով հինգ վագոն հացահատիկ կուղարկվի...

10:35

Ավագ չորեքշաբթին հիշատակն է արարչության չորրորդ օրվա

Ավագ չորեքշաբթին հիշատակն է արարչության չորրորդ օրվա

10:04

Տարադրամի փոխարժեքը՝ ՀՀ բանկերում

Տարադրամի փոխարժեքը՝ ՀՀ բանկերում

18:00

Մշակույթը ժողովուրդների միջև կապերի ամրապնդման կարևոր գործիք է. Ժաննա Անդրեասյան

Մշակույթը ժողովուրդների միջև կապերի ամրապնդման կարևոր գործիք է. Ժաննա...

17:38

«Հայաստան» դաշինքի ցուցակով պատգամավորական մանդատս չեմ վերցնելու, այդ երկամսյա աթոռն այս ԱԺ-ում ինձ անհրաժեշտ չէ. Հրաչուհի Միրզոյան

«Հայաստան» դաշինքի ցուցակով պատգամավորական մանդատս չեմ վերցնելու, այդ երկամսյա աթոռն այս ԱԺ-ում...

17:17

Հայաստանի ու Իրանի միջև սահմանը խաղաղության սահման է. Խալիլ Շիրղոլամին այցելել է սահմանային անցակետ

Հայաստանի ու Իրանի միջև սահմանը խաղաղության սահման է. Խալիլ Շիրղոլամին այցելել է սահմանային...

16:22

Փաշինյանն աշխատանքային այցով կմեկնի ՌԴ, կհանդիպի Վլադիմիր Պուտինի հետ

Փաշինյանն աշխատանքային այցով կմեկնի ՌԴ, կհանդիպի Վլադիմիր Պուտինի...

16:11

Սուրբ Աննա եկեղեցում Նիկոլ Փաշինյանի հետ միջադեպի մասնակից եղբայրներից Դավիթ Մինասյանին կալանավորելու միջնորդություն է ներկայացվել

Սուրբ Աննա եկեղեցում Նիկոլ Փաշինյանի հետ միջադեպի մասնակից եղբայրներից Դավիթ Մինասյանին...

16:04

ՀՅ Դաշնակցությունը մարդասիրական օգնություն է փոխանցել Իրանին

ՀՅ Դաշնակցությունը մարդասիրական օգնություն է փոխանցել...

15:49

Ձերբակալված երկվորյակ եղբայրներից Միքայել Մինասյանն ազատ արձակվեց, սակայն նրան մեղադրանք է առաջադրվել

Ձերբակալված երկվորյակ եղբայրներից Միքայել Մինասյանն ազատ արձակվեց, սակայն նրան մեղադրանք է...

15:24

«Ես կազմակերպել ու պլանավորել եմ քաղաքի, գյուղերի, Արցախի ազատագրումները». Նիկոլ Փաշինյանի հետ միջադեպի մասնակից, ազատամարտիկ Գևորգ Գևորգյանն ազատ արձակվեց

«Ես կազմակերպել ու պլանավորել եմ քաղաքի, գյուղերի, Արցախի ազատագրումները». Նիկոլ Փաշինյանի հետ...

15:09

Կարևորը մանդատը չէ, այլ աշխատանքի արդյունքը. Գագիկ Ծառուկյան

Կարևորը մանդատը չէ, այլ աշխատանքի արդյունքը. Գագիկ...

13:39

«Ուժեղ Հայաստան» կուսակցությունը դաշինք է կազմում «Հայաստանը ես եմ» նախաձեռնության և «Նոր դարաշրջան» կուսակցության հետ

«Ուժեղ Հայաստան» կուսակցությունը դաշինք է կազմում «Հայաստանը ես եմ» նախաձեռնության և «Նոր...

13:22

290 մլն դոլարի փաթեթ՝ Հայաստանի տնտեսական վերափոխման համար. Համաշխարհային բանկը հաստատել է աջակցությունը

290 մլն դոլարի փաթեթ՝ Հայաստանի տնտեսական վերափոխման համար. Համաշխարհային բանկը հաստատել է...

13:18

Մարտի 27–30-ը հանրապետության տարբեր շրջաններում տեղումների քանակը կազմել է 15–25 մմ, Սյունիքում՝ մինչև 49 մմ

Մարտի 27–30-ը հանրապետության տարբեր շրջաններում տեղումների քանակը կազմել է 15–25 մմ, Սյունիքում՝...

12:59

Սուրբ Զատկի տոնին ընդառաջ ՍԱՏՄ-ն իրականացրել է վերահսկողություն ձվի արտադրության և իրացման շուկայում. ինչ խախտումներ են հայտնաբերվել

Սուրբ Զատկի տոնին ընդառաջ ՍԱՏՄ-ն իրականացրել է վերահսկողություն ձվի արտադրության և իրացման...

12:44

RIOmall
Artioli
երկերքչրքհնգուրբշբթկրկ
12345
6789101112
13141516171819
20212223242526
27282930

Հայկական մամուլ

«Իրավունք». Փաշինյանը «տրաս է հանել» բոլորին անխտիր. «Մի քիչ էլ դուք վիզ դրեք»

«Իրավունք». Փաշինյանը «տրաս է հանել» բոլորին անխտիր. «Մի քիչ էլ դուք վիզ...

09:36

«Ժողովուրդ». ՔՊ-ի 50 ընտրյալները՝ նոր քննության առաջ. ներքին պայքարը թեժանում է

«Ժողովուրդ». ՔՊ-ի 50 ընտրյալները՝ նոր քննության առաջ. ներքին պայքարը թեժանում...

09:19

«Հրապարակ». ՔՊ–ում վերջապես գտան Հռիփսիմե Հունանյանի փոխարինողին

«Հրապարակ». ՔՊ–ում վերջապես գտան Հռիփսիմե Հունանյանի...

09:02

ՀայEngРусԵրեքշաբթի Փետրվար 03 «Ժողովուրդ». Մարդիկ փող չունեն, բայց վարկ են վերցնում. պաշտոնական աճող թվեր

ՀայEngРусԵրեքշաբթի Փետրվար 03 «Ժողովուրդ». Մարդիկ փող չունեն, բայց վարկ են վերցնում. պաշտոնական...

09:44

«Ժողովուրդ». Հակակոռուպցիոն կոմիտեն հաստատեց. ՔՊ-ական Կոնջորյանի առանձնատան մասով ստուգումներ են

«Ժողովուրդ». Հակակոռուպցիոն կոմիտեն հաստատեց. ՔՊ-ական Կոնջորյանի առանձնատան մասով ստուգումներ...

09:18

«Հրապարակ». Ինչ արդյունք կտան Մայր Աթոռի քննարկումները

«Հրապարակ». Ինչ արդյունք կտան Մայր Աթոռի...

09:02

«Փաստ». Ո՞ւմ է ձեռնտու «բոլորին մերժելու» մոտեցումը

«Փաստ». Ո՞ւմ է ձեռնտու «բոլորին մերժելու» մոտեցումը

09:39

«Հրապարակ». ՔՊ–ականների խնջույքին Փաշինյանը սեփական մատուցողին ու բաժակն է տարել

«Հրապարակ». ՔՊ–ականների խնջույքին Փաշինյանը սեփական մատուցողին ու բաժակն է...

09:18

«Հրապարակ». Փաշինյանը թիմին ասել է՝ պետք է ոչ թե 50+1, այլ 60 տոկոս ստանան

«Հրապարակ». Փաշինյանը թիմին ասել է՝ պետք է ոչ թե 50+1, այլ 60 տոկոս...

09:02

«Հրապարակ». Գարեգին Բ–ի դեմ նոր քրեական վարույթ են նախապատրաստում

«Հրապարակ». Գարեգին Բ–ի դեմ նոր քրեական վարույթ են...

09:55

«Ժողովուրդ». Հեղուկ գազի թանկացման առեղծվածն ու ադրբեջանական բենզինի գինը

«Ժողովուրդ». Հեղուկ գազի թանկացման առեղծվածն ու ադրբեջանական բենզինի...

09:42

«Հրապարակ». Շուտով նոր ցնցում է սպասվում հանրությանը

«Հրապարակ». Շուտով նոր ցնցում է սպասվում հանրությանը

09:18

«Ժողովուրդ». ԱԺ-ում արտահերթ, գաղտնի օրակարգով նիստ է. ընտրական օրենսգիրք են փոխում

«Ժողովուրդ». ԱԺ-ում արտահերթ, գաղտնի օրակարգով նիստ է. ընտրական օրենսգիրք են...

09:02

«Հրապարակ». ՔՊ–ն՝ «Մեր ձևով»–ի օրակարգով

«Հրապարակ». ՔՊ–ն՝ «Մեր ձևով»–ի օրակարգով

09:34

«Հրապարակ». Ուղիներ են որոնում՝ թույլ չտալու հոգևորականների մեկնումը Հայաստանից

«Հրապարակ». Ուղիներ են որոնում՝ թույլ չտալու հոգևորականների մեկնումը...

09:18

«Փաստ». Էլ ի՞նչ են «բացելու» մինչև ընտրություններ

«Փաստ». Էլ ի՞նչ են «բացելու» մինչև ընտրություններ

09:02

«Փաստ». Համայնքներ կմիավորվեն Լոռու, Սյունիքի և Վայոց ձորի մարզերում. նախագիծ

«Փաստ». Համայնքներ կմիավորվեն Լոռու, Սյունիքի և Վայոց ձորի մարզերում....

09:38

«Ժողովուրդ». Առողջապահության նախարարի գոտին 1375$ է, պայուսակը՝ 3150$. շքեղությունների շարքից

«Ժողովուրդ». Առողջապահության նախարարի գոտին 1375$ է, պայուսակը՝ 3150$. շքեղությունների...

09:19

«Ժողովուրդ». Իշխանությունները «եկեղեցու բարենորոգում» անվան տակ փորձում են «տիրանալ» եկեղեցու գույքին

«Ժողովուրդ». Իշխանությունները «եկեղեցու բարենորոգում» անվան տակ փորձում են «տիրանալ» եկեղեցու...

09:02

«Ժողովուրդ». ՔՊ նախընտրական ծրագրի ընդունումից գրեթե 5 տարի անց՝ միջին կենսաթոշակը ծրագրային նպատակից ցածր է մոտ 20%-ով

«Ժողովուրդ». ՔՊ նախընտրական ծրագրի ընդունումից գրեթե 5 տարի անց՝ միջին կենսաթոշակը ծրագրային...

09:52

«Հրապարակ». Արցախի թեմի առաջնորդն իր վախերի պատանդն է դարձել

«Հրապարակ». Արցախի թեմի առաջնորդն իր վախերի պատանդն է...

09:36

«Հրապարակ». ՔՊ վարչությունը գրանցել է Անդրանիկ Քոչարյանի թեկնածությունը` ՔՊ հաջորդ պառլամենտի թեկնածուների թվում

«Հրապարակ». ՔՊ վարչությունը գրանցել է Անդրանիկ Քոչարյանի թեկնածությունը` ՔՊ հաջորդ պառլամենտի...

09:19

«Փաստ». Հայ առաքելական եկեղեցում ոչ մի պառակտում տեղի չի ունենում, չնայած Փաշինյանի կողմնակիցների ջանքերին

«Փաստ». Հայ առաքելական եկեղեցում ոչ մի պառակտում տեղի չի ունենում, չնայած Փաշինյանի կողմնակիցների...

09:02

«Ժողովուրդ». Կատարվել է առերես հարցաքննություն

«Ժողովուրդ». Կատարվել է առերես հարցաքննություն

09:36

«Հրապարակ». Հայկ Կոնջորյանը կտրվել է գետնից

«Հրապարակ». Հայկ Կոնջորյանը կտրվել է գետնից

09:15

«Իրավունք». ՔՊ-ական մերժվածներն արդեն պատերի տակ դժգոհում են. ովքեր են «դաբրո» ստանում Փաշինյանից

«Իրավունք». ՔՊ-ական մերժվածներն արդեն պատերի տակ դժգոհում են. ովքեր են «դաբրո» ստանում...

09:02

«Փաստ». Փաշինյանը մարդկանց տանում է բախումների, որ «հոգին փառավորվի»

«Փաստ». Փաշինյանը մարդկանց տանում է բախումների, որ «հոգին...

09:36

«Ժողովուրդ». Ինչ է սպասվում Արցախի նախագահ Շահրամանյանին. հնարավոր է մեղադրանք առաջադրվի

«Ժողովուրդ». Ինչ է սպասվում Արցախի նախագահ Շահրամանյանին. հնարավոր է մեղադրանք...

09:19

«Ժողովուրդ». Արտախորհրդարանական պայմանավորվածություններ՝ 2026-ին ընդառաջ

«Ժողովուրդ». Արտախորհրդարանական պայմանավորվածություններ՝ 2026-ին...

09:13

«Փաստ». Ինչի՞ ցուցիչ են խայտառակ թվերը

«Փաստ». Ինչի՞ ցուցիչ են խայտառակ թվերը

09:01

«Ժողովուրդ». Ի՞նչ ունեցվածք ունի մարզպետի՝ երկարամյա ԱԱԾ-ական խորհրդականը

«Ժողովուրդ». Ի՞նչ ունեցվածք ունի մարզպետի՝ երկարամյա ԱԱԾ-ական...

09:47

«Հրապարակ». Միհրան Հակոբյանի ծեծի պատմությունից հնարավոր է «տուժի» գլխավոր դատախազ Աննա Վարդապետյանը

«Հրապարակ». Միհրան Հակոբյանի ծեծի պատմությունից հնարավոր է «տուժի» գլխավոր դատախազ Աննա...

09:35

«Ժողովուրդ». Հանկարծամահ լինելուց առաջ հարցաքննել էին հրաշագործ բժշկին

«Ժողովուրդ». Հանկարծամահ լինելուց առաջ հարցաքննել էին հրաշագործ...

09:17

«Իրավունք». 10 եպիսկոպոսների հայտարարությունը իրավապահները չեն ուսումնասիրել

«Իրավունք». 10 եպիսկոպոսների հայտարարությունը իրավապահները չեն...

09:02

Տոտալ ձախողում Գյումրիում. «հակապատարագները»՝ կուսակցական ժողովներ

Տոտալ ձախողում Գյումրիում. «հակապատարագները»՝ կուսակցական...

09:33

«Իրավունք». Ինչ են զրուցել ԱԱԾ մեկուսարանում Աղազարյանն ու Սրբազանները. Բացառիկ մանրամասներ

«Իրավունք». Ինչ են զրուցել ԱԱԾ մեկուսարանում Աղազարյանն ու Սրբազանները. Բացառիկ...

09:16

«Փաստ». Կառավարությունը նոր մահակ է պատրաստում՝ «գեղեցիկ» փաթեթավորմամբ

«Փաստ». Կառավարությունը նոր մահակ է պատրաստում՝ «գեղեցիկ»...

09:02

«Ժողովուրդ». Բրյուսովի անվան պետական համալսարանում լարված իրավիճակ է

«Ժողովուրդ». Բրյուսովի անվան պետական համալսարանում լարված իրավիճակ...

09:48

«Հրապարակ». Իշխանությունն ինչ սցենար է գծել եկեղեցու հետ կապված. 2-3 նոր անուն կլսենք

«Հրապարակ». Իշխանությունն ինչ սցենար է գծել եկեղեցու հետ կապված. 2-3 նոր անուն...

09:34

«Փաստ». Կսահմանվի կուսակցությունների տարեկան հաշվետվությունների ստուգման կարգ

«Փաստ». Կսահմանվի կուսակցությունների տարեկան հաշվետվությունների ստուգման...

09:16

«Ժողովուրդ». Կոնջորյանն ու Հովհաննիսյանը 4-րդ անգամ տապալում են ԱԺ աշխատանքները

«Ժողովուրդ». Կոնջորյանն ու Հովհաննիսյանը 4-րդ անգամ տապալում են ԱԺ...

09:02

«Փաստ». Հայտարարագրերի վերլուծման նոր չափորոշիչներ կսահմանվեն

«Փաստ». Հայտարարագրերի վերլուծման նոր չափորոշիչներ...

09:49

«Ժողովուրդ». Երեւանի քաղաքապետարանը էլի գնումներ է արել ՔՊ-ական ավագանու անդամի ընկերությունից

«Ժողովուրդ». Երեւանի քաղաքապետարանը էլի գնումներ է արել ՔՊ-ական ավագանու անդամի...

09:36

«Հրապարակ». Պահանջում են Արցախի թեմի առաջնորդությունից զրկել

«Հրապարակ». Պահանջում են Արցախի թեմի առաջնորդությունից...

09:15

«Ժողովուրդ».  Քրեական ենթամշակույթի կրող «Օրենքով գողերը»` ՔՊ-ի թիրախում

«Ժողովուրդ». Քրեական ենթամշակույթի կրող «Օրենքով գողերը»` ՔՊ-ի...

09:55

«Ժողովուրդ». Առողջապահության ապահովագրության նախագիծը շտապում են ընդգրկել դեկտեմբերի քառօրյա նիստերի օրակարգում

«Ժողովուրդ». Առողջապահության ապահովագրության նախագիծը շտապում են ընդգրկել դեկտեմբերի քառօրյա...

09:42

«Ժողովուրդ». Իշխանությունն արդեն ունի իր համար երկու «սրտի կաթողիկոս». անուններ

«Ժողովուրդ». Իշխանությունն արդեն ունի իր համար երկու «սրտի կաթողիկոս»....

09:33

«Հրապարակ». ՔՊ–ում կարգախոսի փնտրտուք է

«Հրապարակ». ՔՊ–ում կարգախոսի փնտրտուք է

09:19

«Հրապարակ». Նիկոլ Փաշինյանը հիասթափված է Ալեն Սիմոնյանից. Պատճառը հայտնի է

«Հրապարակ». Նիկոլ Փաշինյանը հիասթափված է Ալեն Սիմոնյանից. Պատճառը հայտնի...

09:02

«Ժողովուրդ». Որն է հաջորդ բուհը. Հակակոռուպցիոն կոմիտեն օպերացիան կշարունակի

«Ժողովուրդ». Որն է հաջորդ բուհը. Հակակոռուպցիոն կոմիտեն օպերացիան...

09:44